Toledo contará con un nuevo parque comercial en el Polígono: tendrá 300 plazas de parking, hipermercado, gasolinera...
Sería la segunda superficie comercial de este tipo en este barrio toledano, a la que hay que sumar el centro comercial 'Luz del Tajo'

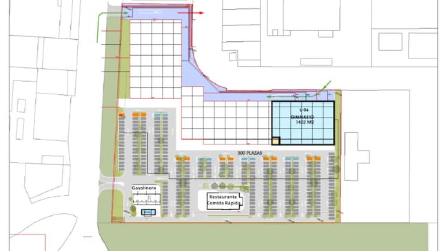
Mapa de la planta baja del futuro parque comercial que se proyecta en el Polígono de Toledo / LÓPEZ REAL INVERSIONES 2021

Toledo (Toledo)
La ciudad de Toledo aspira a contar con un nuevo parque comercial en su término municipal. Una superficie comercial que se uniría a los otros dos parques comerciales y al centro comercial que hay en la capital regional. En concreto, a día de hoy, están operando los parques comerciales 'Abadia' y 'Fusión', así como el centro comercial 'Luz del Tajo'.
Más información
Con ello, este nuevo parque comercial, que se plantea instalar en la ciudad, se ubicará en el barrio del Polígono. En concreto, en la calle Torviscal número 2, justo al lado del centro de exámenes de la Dirección General de Tráfico, en la zona Industrial. Todo en una parcela con una superficie de casi 20.000 metros cuadrados, aunque la superficie construida será de menos de 8.000 metros cuadrados.
Un hipermercado, gasolinera, gimnasio... y 300 plazas de aparcamiento
Una superficie comercial que promueve la empresa 'López Real Inversiones 2021', que ya llevó a cabo la creación de una pequeña área comercial junto al Hotel Beatriz de la capital. Un área que cuenta con un supermercado, una gasolinera low cost y un restaurante de comida rápida.
En este caso, para el futuro parque comercial, se contará con nueve negocios diferentes. Entre esos negocios, se encontrará un hipermercado, con una superficie de 2.200 metros cuadrados; un gimnasio, con 1.400 metros cuadrados, así como diferentes tiendas. Unas tiendas que serían del sector de los perfumes y la moda, entre otros. También, se instalará un nuevo restaurante de comida rápida, con la posibilidad de contar con el servicio de pedido desde el coche, además de una gasolinera.

Mapa de la primera planta del parque comercial, en donde únicamente se instalaría un gimnasio / LÓPEZ REAL INVERSIONES 2021

Mapa de la primera planta del parque comercial, en donde únicamente se instalaría un gimnasio / LÓPEZ REAL INVERSIONES 2021
Además, aunque aún se desconoce la firma del hipermercado, la compañía que promueve el proyecto, entre sus clientes, se encuentra Carrefour. Una cadena de hipermercados que, de momento, carece de presencia en Toledo, por lo que podría ser una opción. Eso unido a que esta franquicia, en algunos de sus centros, cuenta con gasolinera adherida, tal y como ocurre en el parque comercial 'Abadia' con la firma de Alcampo.
Estos locales se distribuirán en dos plantas. En la planta baja, estarán cinco de ellos, mientras que el gimnasio se ubicará en una primera planta, a la que se accederá por una rampa que estará en el exterior del parque comercial. A esos seis locales, hay que sumar la gasolinera y el restaurante de comida rápida, que se situarán en el aparcamiento. Un parking que estará dotado con 300 plazas, de las cuales 10 serán destinadas a personas con movilidad reducida y otras 8 para la recarga de coches eléctricos.
Un proyecto comercial que cuenta con un presupuesto de casi 6 millones de euros y que se espera que genera decenas de puestos de trabajo.
Los problemas de los atascos en el barrio del Polígono
Uno de los principales problemas del barrio del Polígono es el tráfico rodado. Todo ello, ante la acumulación de vehículos para un único acceso a la zona más poblada de la ciudad. Por este motivo, los atascos son habituales a primera hora de la mañana y, también, a última hora de la mañana. También, se incrementa el flujo de vehículos en la TO-23 y N-400 con la llegada de fechas de especial consumo como Black Friday o Navidades, debido a la actividad el centro comercial Luz del Tajo.
Por todo ello, el nuevo parque comercial que se ubicará en el Polígono Industrial ha presentado un informe del tráfico que podría añadir a la N-400 y sus aledaños. En este aspecto, este informe, al que ha tenido acceso SER Toledo, se cifra en 561 vehículos al día, entre trabajadores y clientes. A ello, habría que sumar otros 24 vehículos pesados por la actividad de dicha superficie comercial. Un dato, según este mismo, que no llega al 5% del tráfico actual en este punto de Toledo.
De hecho, según los estudios de aforamiento realizados, en la rotonda (la tercera en dirección al Polígono) existe un tráfico punta de 4.126 vehículos a la hora. Una mayor afluencia de tráfico que se registra, principalmente, entre las 18 y 19 h.
Por su parte, en este mismo informe, se avanza que "es evidente que el desarrollo de cualquier área industrial/comercial, no funcionará a plena ocupación en el momento inicial de su construcción, sino que necesitará de un periodo de años para que funcione de forma completa. Por tanto, el tráfico generado por dicho desarrollo tendrá una evolución en el tiempo". Un periodo de tiempo que sitúa en cinco años para que funcione al 100%.
Alegaciones del centro comercial Luz del Tajo
Un proyecto de parque comercial que necesita de la aprobación en pleno para el PERIM (Plan Especial de Reforma Interior). Una herramienta urbanística con la que se busca suplir la carencia de un POM actualizado. Precisamente, esta misma empresa acometió otro PERIM para la construcción del área comercial del barrio de Buenavista, junto al Hotel Beatriz.
Sobre ese PERIM, el centro comercial 'Luz del Tajo' ha presentado alegaciones, que han sido rechazadas. Esas alegaciones se apoyan en tres puntos para pedir la paralización de dicho Plan Especial de Reforma Interior:
- No cumple con la extensión. En este aspecto, Luz del Tajo asegura que no cumple con el requisito de que un PERIM abarque desde una manzana hasta un núcleo de población completo. Todo ello, asegura esta empresa porque este plan solo afecta a una única parcela con una sola referencia catastral y no a una manzana entera.
- Carece de justificación. Según este centro comercial, a través de la empresa que lo gestiona 'Sonae Sierra', el PERIM no cuenta con la justificación adecuada. Todo ello, insiste dicha compañía, en que esta nueva superficie comercial no "mejor la calidad urbana o la cohesión territorial" de Toledo.
- Falta de justificación de la tipología del PERIM. Por último, otro de los puntos de las alegaciones de Luz del Tajo a este proyecto es que este desarrollo no viene motivado por "las nuevas circunstancias sobrevenidas urbanísticamente", es decir, asegura que no es un proyecto que viene de lejos, sino que se pondrá en marcha ya sabiendo que el POM, de 1986, es el que rige en la capital regional.
Un nuevo parque comercial que, a priori, recibirá el visto bueno administrativo en el próximo pleno municipal, que se desarrollará el viernes 25 de abril. Sin embargo, días antes, se debatirá en la Comisión de Urbanismo, fijada el martes 22 de abril.

Alejandro Martín Carrillo
Doble graduado en Periodismo y Comunicación Audiovisual por la Universidad Rey Juan Carlos. Coordinador...




