Abren al tráfico uno de los viales del bulevard sobre las vías del AVE

Mapa de bulevard sobre las vías del AVE(CADENA SER)

Mejora la movilidad y la conexión Norte-Sur de la ciudad. Esta actuación se enmarca dentro de la primera fase sobre el soterramiento de las vías que se ha abierto recientemente a uso ciudadano
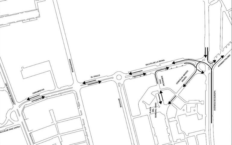
Se abre al tráfico la calle Sillita de la Reina este martes. El víal sobre el bulevard de las vías del tren mejora la movilidad y la conexión Norte-Sur de la ciudad atravesando este espacio. Esta actuación, desarrollada por el Ayuntamiento de Málaga, se enmarca dentro de la primera fase del Bulevar sobre el soterramiento del AVE a su llegada a Málaga que se ha abierto recientemente a uso ciudadano.
Concretamente, una vez que mañana entre en servicio esta calle, permitirá los desplazamientos en el eje desde la Plaza de José Bergamín, a través de c/Almogía, c/Corregidor Francisco de Molina, c/Alcalde Díaz Zafra, c/Ceramistas, c/Gallo, c/Sillita de la Reina, con Avda. de la Paloma, Avda. Sor Teresa Prat y c/Princesa para desembocar en C/ Pacífico (paseo Marítimo de Poniente).
Así, se procederá a abrir a la circulación la calle Sillita de la Reina entre el Bulevar sobre el ferrocarril y la Av. de Europa tras haberse concluido las obras de adaptación en esta zona, ejecutadas por la Gerencia Municipal de Urbanismo. Estos trabajos concretos han consistido en la ampliación de la calzada sur de la Avenida de Europa en dirección este, dotándola de un tercer carril para aumentar la capacidad de giro a la izquierda; reforma de la isleta existente en la incorporación desde la Avda. de Europa sentido Oeste hacia Sillita de la Reina aumentando la zona de espera del semáforo de giro; y remodelación también de la conexión de la calle concejal Masso Roura, ampliando la calzada en la incorporación a la glorieta existente.
Por tanto, la apertura de calle Sillita de la Reina conlleva la siguiente reordenación de las vías:
• Ampliación a tres carriles de circulación en Avenida de Europa dirección Este, en un tramo de 75 metros hasta la intersección con Avenida de la Paloma.
• Modificación de la intersección con Avenida de la Paloma, ampliando la calzada de giro a la izquierda hacia la calle Sillita de la Reina.
• Modificación en la señalización de la Avenida de Europa dirección Oeste, donde se establecen giros directos hacia la Avenida de la Paloma y hacia la calle Sillita de la Reina.
• Cambio del sentido de la circulación en la calle concejal Masso Roura, donde se señaliza de sentido único de entrada hacia la barriada Dos Hermanas, creándose estacionamiento a ambos lados.
• Conexión de la calle Ingeniero Díaz Petersen a la calle Sillita de la Reina.
Por otro lado, cabe señalar que se mantiene cerrada al tráfico la conexión viaria del Bulevar con Juan XXIII, hasta que la Agencia de Obra Pública de la Junta de Andalucía solvente y elimine el desnivel existente en dicha intersección.
PRIMERA FASE DEL BULEVAR
Las obras del proyecto de primera fase del Bulevar han sido ejecutadas por la UTE constituida por las empresas Construcciones Vera SA, Detea SA y C. Lasor SL, y han supuesto una inversión municipal cercana a los 12,5 millones de euros. Se trata de la primera fase del proyecto de construcción de la Nueva Avenida-Parque sobre el soterramiento del pasillo ferroviario en Málaga, en el tramo correspondiente a las barriadas Dos Hermanas y Nuevo San Andrés.
Concretamente esta primera fase realizada comprende una longitud de unos 630 metros lineales entre glorietas (concretamente entre la estación Victoria Kent y la intersección con calle Gallo), así como la prolongación hacia la Avda. Juan XXIII de aproximadamente 420 m.
Esta actuación conlleva la mejora de la movilidad norte-sur y oeste-este en este ámbito de la ciudad que ha soportado durante muchos años la barrera infranqueable del ferrocarril. Se han eliminado asimismo barreras arquitectónicas en un sector donde transversalmente existe un desnivel importante. Y en las calles transversales se ha implantado el carril bici.
Las plazas se han adornado con una jardinería original, como la ubicada en la glorieta próxima a la estación Victoria Kent, en la que se ha ejecutado un jardín vertical. Por otro lado, las traseras de las naves, que estaban muy deterioradas, se han embellecido con una serie de graffitis y murales creando lo que se ha llamado "Bulevart", como galería pictórica de significativo valor artístico.




